還在為ChIP實驗步驟多而苦惱??
還在為ChIP實驗周期長而憂愁??
還在為實驗重復性差而不快??
還在為細胞量不夠而憂悶??
新產品上市啦
百邁客新產品 CUT&Tag 上市,
幫您解決難題,
祝您科研無憂!
CUT&Tag技術原理

CUT&Tag實驗原理[1]
CUT&Tag(Cleavage Under Targets and Tagmentation)是一種可應用于表觀遺傳學領域的DNA-蛋白質互作研究新技術,主要用于研究轉錄因子或組蛋白修飾在全基因組上的結合或分布位點。
Cut&tag vs ChIP-seq
百邁客實測數據展示

CUT&Tag文庫片段分布圖

H4K20me1實測圖
經典案例解讀
蛋白質與DNA互作是基因轉錄調控的關鍵,也是啟動基因轉錄的前提。2019年4月29日Henikoff實驗室在Nature Communication上公布了新技術CUT&Tag,與傳統的ChIP-seq相比,CUT&Tag技術方法簡便易行、背景信號低、重復性好、讓細胞量從10,000個降到了60個甚至單個細胞。


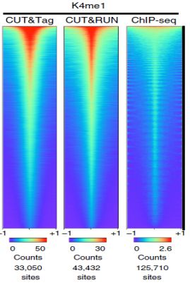
CUT&Tag、CUT&RUN、ChIP-Seq 實驗結果對比:
CUT&Tag 具有更好的信噪比和更低的背景

重復性相關矩陣:
CUT&Tag的靈敏度最高,實驗可重復性較好

peak-Calling的對比:
CUT&Tag比CUT&RUN、ChIP-seq或ATAC-seq有更高的信號

CUT&Tag 單細胞測序流程:
能夠對極少量細胞(60 個細胞)甚至單細胞進行分析
參考文獻
[1] Kaya-Okur HS, et al. CUT&Tag for efficient epigenomic profiling of small samples and single cells. Nature Communication, 2019.
最近文章



京公網安備 11011302003368號